Đất Bán Dưới 17 Tỷ Tại Hóc Môn, các lô đất cần bán có sổ hồng riêng: Đất thổ cư, đất nông nghiệp, mặt tiền đường, hẻm thông, hẻm cụt, chính chủ trực tiếp bán.
Đất Bán Dưới 17 Tỷ Tại Hóc Môn, TpHCM, mã số db1390
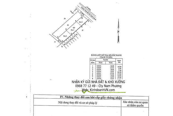
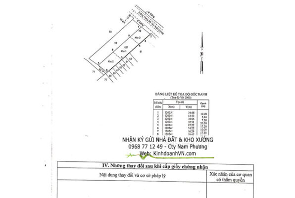
Đất Bán Dưới 17 Tỷ Tại Hóc Môn, mặt tiền đường Trung Mỹ Tân Xuân

Lô đất bán dưới 15 tỷ tại Hóc Môn nằm trong khu dân cư đô thị hiện hữu, mặt tiền đường Trung Mỹ Tân Xuân. Là con đường nội bộ có chiều rộng 12m, lộ giới 24m nối đường Quốc Lộ 22 với đường Nguyễn Ảnh Thủ và giao cắt với nhiều đường như hình xương cá: đường Song Hành, đường Lê Thị Hà, đường Tân Xuân 1, đường Tân Xuân 5, đường Tân Xuân 2, đường Tân Xuân 6, dường Tân Xuân 7, đường Thiền Quang, đường Trung Mỹ Tây 3, đường Vạn Hạnh 1, v.v.
- Diện tích: 10m x50m =500.9 m², đã chuyển lên đất thổ cư 200 m2, còn lại 300.9 m2 là đất nông nghiệp (đất trồng cây hàng năm khác)
- Pháp lý: Đất bán dưới 17 tỷ tại Hóc Môn có sổ hồng riêng, chính chủ trực tiếp bán.
- Giá: 17 Tỷ; 33.4 tr/m2. Tầm giá bán đất dưới 17 tỷ trên 16 tỷ tại xã Hóc Môn tháng 5 năm 2025, bạn có thể tham khảo thêm tại nhà đất Hóc Môn.
- Liên hệ đt/ zalo: 0968 77 12 49 Cty Nam Phương nhận ký gửi nhà đất, kho xưởng: mua bán, cho thuê tại xã Hóc Môn, TpHCM.
Nhận ký gửi nhà đất, kho, xưởng tại xã Hóc Môn bán hoặc cho thuê
Hãy gửi nhu cầu mua, bán, cho thuê nhà, đất, kho, xưởng tại xã Hóc Môn của bạn để Cty Nam Phương phục vụ!
Tên các xã mới được hình thành của huyện Hóc Môn cũ:
xã Bà Điểm, xã Hóc Môn, xã Đông Thạnh, xã Xuân Thới Sơn






